EEUU: Tormenta Cristóbal avanza hacia el norte rumbo a los Grandes Lagos
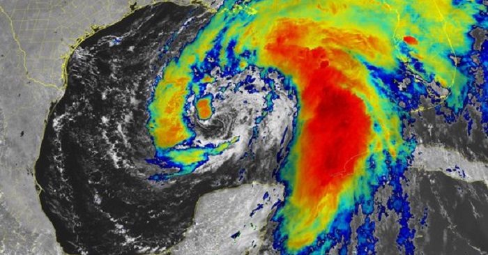
MIAMI.- La tormenta tropical Cristóbal, ahora solo una depresión tropical, continuará persistiendo en el sur de Estados Unidos antes de marchar hacia el norte en dirección al oeste de los Grandes Lagos más tarde el martes.
La tormenta generará acumulaciones totales de lluvia de 2 a 4 pulgadas (5 a 10 centímetros) con cantidades locales de 6 pulgadas (15 centímetros) desde Arkansas hasta el oeste de los Grandes Lagos hasta el miércoles por la mañana, según el Centro Nacional de Huracanes.
Cristóbal tocó tierra en el sureste de Louisiana el domingo después de días de lluvia y marea alta.
Se ordenó el cierre de las oficinas estatales en 22 condados, y el presidente Donald Trump aprobó la asistencia federal para los esfuerzos de limpieza del estado.
Al menos 20.000 hogares y negocios quedaron sin electricidad el lunes por la mañana en Louisiana y Mississippi.
Ese número cayó a unos 8.400 clientes el lunes por la noche, según poweroutage.us.
of-am

Trump elige a Susie Wiles como jefa del gabinete en Casa Blanca
Abinader entrega muelles en Río San Juan y Cabrera para la pesca
Primer Ministro Haití seguirá en Puerto Rico, su futuro es incierto
PLD dice es un genocidio robar dinero de la salud del pueblo
John Bartlow Martin y Ramfis Trujillo: 1961
Banreservas entrega la copa de campeones a Leones Escogido
Xi Jinping: altruista para Cuba
FP aclara gremios jurídicos no están para defender votos
Licey felicita al Escogido por su campeonato 18 beisbol de la RD
Judocas agotan en España y Ecuador base entrenamientos
El Verbo en varias lenguas: El políglota de Nazaret
Batalla de La Limonada: siglo de miseria y religión
Aerolínea Arajet mueve 1.48 millones de pasajeros en 2025

















